Muros de suporte na Rua 1º de Maio, Pedrulha
IDENTIFICAÇÃO
Empreitada “Muros de suporte na Rua 1.º de Maio, Pedrulha”
LOCALIZAÇÃO
O local abrange duas zonas distintas na Rua 1º de Maio na Pedrulha, ambas pertencentes à União de Freguesias de Eiras e São Paulo de Frades.

Urbanização do Loreto, pertencente à União de Freguesias de Eiras e São Paulo de Frades, em Coimbra.
DESCRIÇÃO GERAL MURO

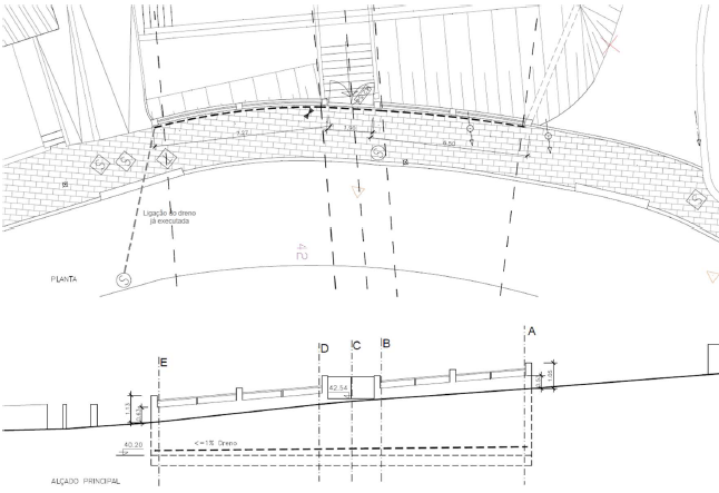
Trata-se de um muro de suporte de terras com um desenvolvimento curvo de forma convexa numa extensão de 66,00m, com cerca de 5,00m de altura, que sustenta um troço de via sem saída e uma zona de estacionamento.
O muro de suporte é encimado por um muro guarda-corpos em alvenaria de tijolo com 0,70m de altura, verificando-se a existência de uma fenda horizontal e translação em todo o desenvolvimento, estando visivelmente desligados.
À cota da base existe uma circulação pedonal materializada por escadas e rampas, outrora muito degradada, mas que atualmente se encontra reabilitada.
Os dois muros apresentam-se em mau estado de conservação, com algumas patologias, sendo visível deslocamentos e rotação dos muros, associada a alguma fissuração quer horizontal quer vertical.

SOLUÇÃO A APLICAR NA RECONSTRUÇÃO
Atendendo às condicionantes da intervenção e tendo em vista a reconstrução dos muros instabilizados, optou-se pela demolição dos troços de muro instabilizados, com reconstrução parcial do muro de suporte de terras em betão armado com 2,20m de altura, a executar sobre o troço de muro remanescente.
O guarda-corpos em alvenaria foi substituído por uma guarda metálica com 1,00m de altura. Optou-se agora por repavimentar a zona de estacionamento com cubos de granito, delimitada por lancil/guia de betão.

Dado que o projeto se baseou unicamente na mera observação local, admite-se a necessidade eventual de ter de ser reajustado, em função das condições reais encontradas, aquando da realização dos trabalhos.
De uma forma sucinta apresenta-se uma descrição dos trabalhos necessários executar:
1- Demolição cuidada dos troços de muro instabilizados;
2- Levantamento do pavimento do passeio;
3- Remoção de pavimento betuminoso na zona de estacionamento;
4- Execução dos movimentos de terra (escavações e aterros), necessários à
implantação do novo muro;
5- Construção do muro de suporte em betão armado;
6- Execução de cortinas de drenagem;
7- Execução dos trabalhos de pavimentação do passeio;
8- Pavimentação da zona de estacionamento com cubos de calcário;
9- Aplicação de guarda-corpos metálico.
DESCRIÇÃO GERAL MURO
O muro junto ao nº 119, de menor envergadura, caracteriza-se da seguinte forma: o arruamento sofreu uma alteração de traçado non século passado, o que levou a uma subida de cota resultando no desnível em relação à soleira do portão de acesso pedonal.
A subida de cota do arruamento deveria ter sido acompanhada de um muro de suporte entre o limite do espaço público e a propriedade privada (evitando assim a instabilização do talude) e, consequentemente, o reformular do acesso pedonal desde esse limite. Mas o que aconteceu foi diferente: acrescentaram-se degraus em espaço público para vencer o referido desnível, e nada sido feito em relação ao talude.
O próprio material de aterro para elevação da estrada foi depositado sobre o talude, situação que, com o passar dos anos, acabou por levar à ocorrência de movimentos de massa, nomeadamente a queda de blocos rochosos com alguma dimensão que foram danificando o muro original, mais abaixo.

SOLUÇÃO ADOTADA
Pretendendo corrigir a situação acima descrita, dando também resposta à visível falta de segurança pedonal perante o acentuado desnível que existe devido ao talude desprotegido do lado contrário à estrada, prevê-se a construção de um muro de suporte em betão armado, que servirá de guarda-corpos, seguindo o alinhamento anterior. De referir que este alinhamento deverá ser a separação entre o espaço público do espaço privado.

A altura do muro ficará sujeita às condições geomecânicas do terreno, tendo-se admitido uma altura média de 2,50m até à cota do passeio e 0,50m acima deste, seguido de um perfil tubular, à semelhança de uma habitação que se encontra mais abaixo, no mesmo arruamento. Esta solução / configuração e composição do guarda-corpos foi já discutida e aceite pela proprietária, no sentido de se evitar discordâncias futuras.
A drenagem do muro será assegurada por um dreno assente sobre a sapata, prevendo-se a ligação à drenagem de águas pluviais existente no arruamento. De referir que este muro, em projeto, foi articulado com um outro muro transversal ao arruamento e que separa terrenos privados. O referido muro transversal, por se localizar em espaço privado, não é da responsabilidade da CMC.
Quanto ao acesso à habitação, este terá de ser reformulado, chegando as escadas para o interior do espaço privado, por forma a que comecem logo a descer após o portão de acesso pedonal.
Esta solução resolve definitivamente a irregularidade atual, em que as escadas se situam no espaço público.

PROJETO
Equipe Técnica
– Coordenação Geral: José Martins, arquiteto
Muro 1 – Engenheira Teresa Quinta
Muro 2 – Engenheiro Pedro Serralheiro
– Caracterização geológica – Dr. Pedro Rocha
– Especificações Técnicas / Medições e Orçamento, PSS e PPGRCD: Bruno Quaresma,
engenheiro civil
– Topografia: Sérgio Escada (Muro 1) e André Antunes (Muro 2)
PROCEDIMENTO PARA A REALIZAÇÃO DA OBRA

))